ABA Rail Park

single_01

ABA Rail Park

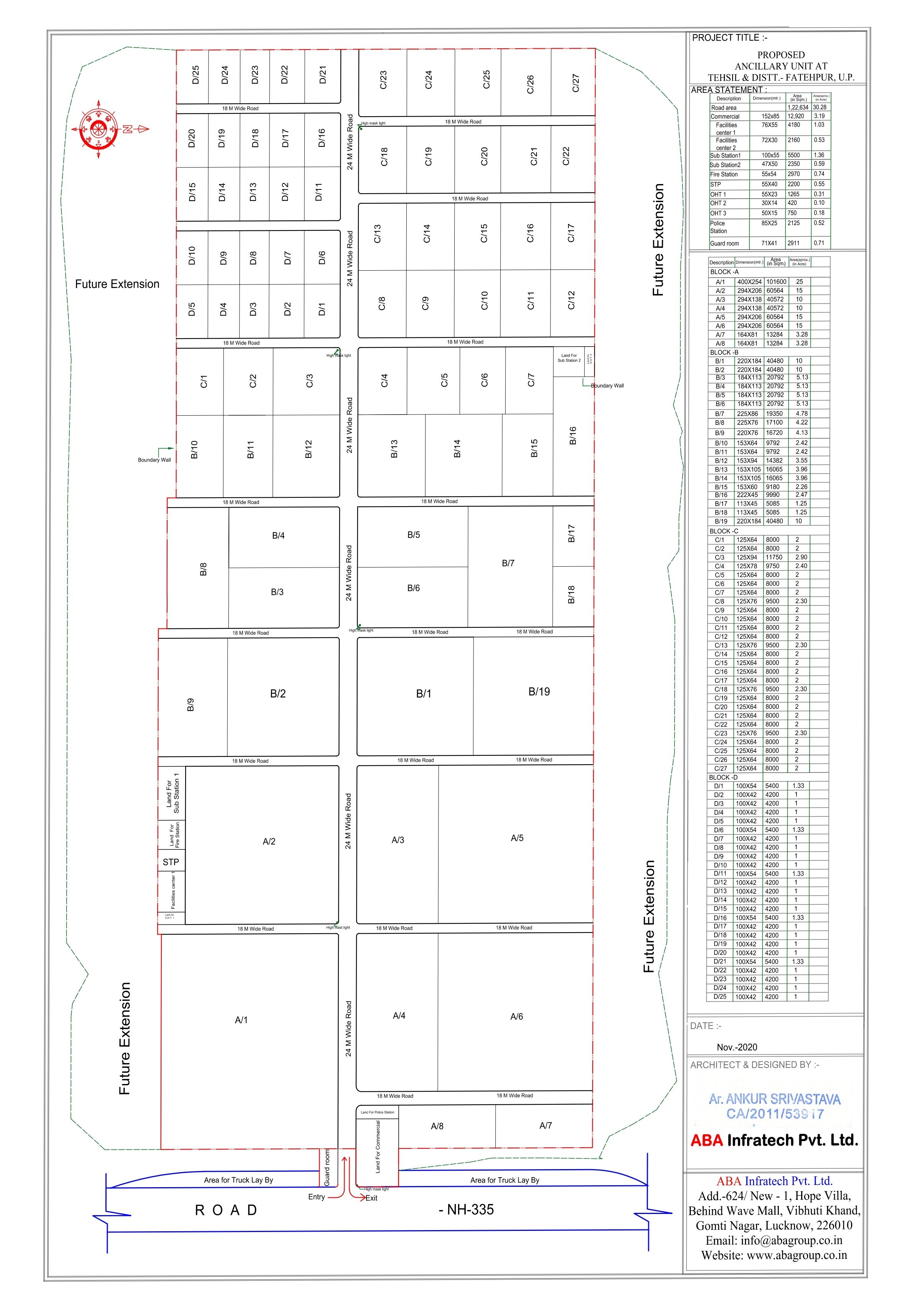
A 250 acre Freehold (with Change of Land Use i.e CLU) fully developed ABA Rail Park (Ancillary Unit) is being established beside the highway near Modern Coach Factory (access to MCF bypassing Lalganj) Fatehpur. This is an opportunity for Rail Coach Suppliers to establish production capacity as large as desired close to MCF at low land cost, taking advantage of significant incentives of Industrial Parks and saving transportation costs to become competitive in supplies and connectivity is better for vendor companies like Air, Rail, by Roads convenient for all states.

PROPOSAL FOR ABA RAIL PARK (ANCILLARY UNIT)

ANCILLARY UNIT : Ancillary Units (AU) are small firms manufacturing and supplying intermediate goods, typically to help out large firms at one place. They make spare parts components for large industries. They are located near large industries and help vendors in development of one large equipment by gathering all spare parts for Modern Coach Factory.

PURPOSE OF DEVELOPING RAIL PARK IN FATEHPUR (ANCILLARY UNIT) FOR MCF : :

  1. o The proposed project is on development of ABA Rail Park (Ancillary Unit) in Fatehpur nearby Modern Coach Factory, Raebareli. It's first innovative project in Uttar Pradesh and is sure to be a game changer project with respect to other industrial sectors.
  2. o ABA Group intends to build the ABA Rail Park near the Modern Coach Factory (MCF) in District Fatehpur, facilitating MCF vendor companies with convenient access and essential amenities. This initiative optimizes transportation, enhances revenue, promotes environmental sustainability, and creates employment opportunities for the youth.
  1. o As, per the requirement ABA Group will also develop labour colony & guest house and provide standard quality of living for employees and provide green and healthy environment after taking all approvals required for ABA Rail Park development.
  2. o The required approvals from governing bodies as per the development of ABA Rail Park are: UPSIDC (Uttar Pradesh State Industrial Development Corporation) and Pollution control board, Fire Department, Forest Department, Minor Irrigation, District Administration, Electricity Department, NHAI etc.

CONCLUSION


The proposed project for development of ABA Rail Park (Ancillary Unit) Fatehpur, due to advantage of its location, easy accessibility, availability of water and labour force will be one of the viable and attractive estates. As the industrial site is located nearby Modern Coach Factory from where rail coaches are developed and it's in rural area also. Thus, the proposed project will increase revenue for Modern Coach Factory as well as provide employments to rural people.

single_02

ABA Rail Park Brochure


ABA Rail Park Layout